VERKOOP BIJ INSCHRIJVING: EEN PERCEEL LANDBOUWGROND
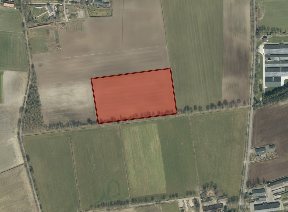
Een perceel landbouwgrond gelegen aan (verbindingsweg) De Horstenbleek/De Schoten met een oppervlakte van 3.06.00 ha. Het betreft een verkoop bij inschrijving. Her perceel is ontsloten aan een openbare onverharde weg. Het perceel is niet voorzien van drainage en er is geen beregeningsput aanwezig. Beregening eventueel via 3 buurputten mogelijk (in overleg met buren).
Bodemsoort
Gooreerdgronden; lemig fijn zand.
Teeltplan
In gebruik als bouwland.
– 2025: Waspeen
– 2024: Bieten
– 2023: Aardappelen
Ontwatering
Ontwatering geschiedt door middel van sloten, zowel van de gemeenschappelijke sloot (zuidzijde) als gezamenlijke sloot met buurperceel. (oostzijde)
Bereikbaarheid
Het perceel is via een openbare, onverharde weg (verbindingsweg De Horstenbleek/De schoten) bereikbaar.
Productierechten
Op het perceel rusten geen productierechten
Oplevering
Het perceel wordt vrij van pacht, huur of gebruik door derden opgeleverd. Het perceel wordt opgeleverd in de toestand waarin het zich momenteel bevindt.
Jachtrecht
Het jachtrecht is verhuurd.
Kadastrale gegevens
Gemeente Hoogeloon sectie M nummer 172, oppervlakte 3.06.00 ha.
Privaatrechtelijke bepalingen
Perceel Hoogeloon M 172 is belast met een zakelijk recht bedoeld in artikel 5, lid 3, onder b, van de Belemmeringenwet Privaatrecht ten behoeve van Enexis Netbeheer B.V.
Perceel Hoogeloon M 172 is belast met een opstalrecht nutsvoorzieningen ten behoeve van Gasunie Transport Services B.V.
Publieke bepalingen
Naar opgave kadastraal bericht zijn er geen beperkingen bekend in de landelijke voorziening WKPB en basisregistratie kadaster.
Milieuaspecten
De verkoper heeft geen onderzoek uitgevoerd of laten uitvoeren naar de aanwezigheid van stoffen in de bodem of het grondwater, noch naar stoffen die van invloed kunnen zijn.
Bestemmingsplan
Het perceel landbouwgrond is gelegen binnen het bestemmingsplan ”Buitengebied Bladel 2014”
Binnen dit plan heeft het perceel de bestemmingen ”Agrarisch”, ”leiding – Gas” en ”Archeologie 6”.
Inschrijven is mogelijk tot donderdag 15 januari 2026, 12:00 uur.
Het inschrijfformulier vergezeld met een kopie van een geldig legitimatiebewijs dient dan aanwezig te zijn op het kantoor van:
Van den Berk & Kerkhof Makelaars, Taxateurs en Adviseurs
Gevestigd te Eindhovenseweg 30b, 5683 KH Best
E-mailadres: best@berkkerkhof.nl
Telefoonnummer: 0499 – 37 55 65
| Kenmerken | |
|---|---|
| Aanmeldingsreden | verkoop bij inschrijving |
| Adres | De Horstenbleek/De Schoten |
| Postcode | 5528 SB |
| Plaats | Hoogeloon |
| Land | Nederland |
| Overdracht | |
|---|---|
| Status | Beschikbaar |
| Aanvaarding | In overleg |
| Bouw | |
|---|---|
| Type | Landbouwgrond |
| Grondsoort | Zand |
| Type land | Bouwland |
| Ontsluiting | Via openbare, onverharde weg |
| Oppervlakte en inhoud | |
|---|---|
| Totale oppervlakte | 3.06.00 ha |